Project Description
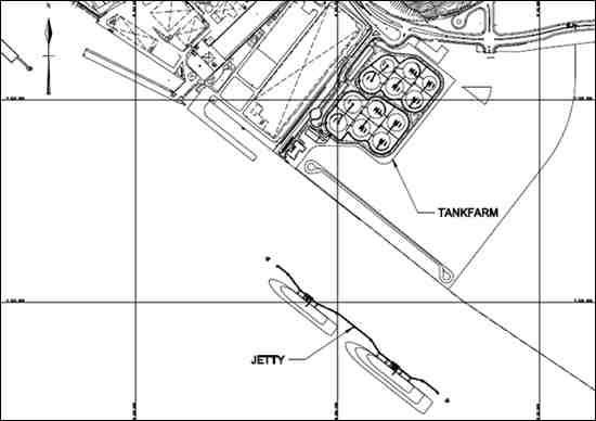
The PAFF is being built to meet the projected future demand for aviation fuel at HKIA and will consist of the following major elements
- A jetty with two berths, which together will accommodate a full range of vessels from 10,000 to 80,000 dwt;
- A tank farm with gross aviation fuel storage capacity of 264,000m3 on commissioning and an ultimate capacity of about 388,000m3 as well as pumps and associated facilities;
- On-site operational facilities including offices; and
- 500mm diameter twin subsea pipelines to connect from Tuen Mun Area 38 to the existing temporary fuel receiving facility adjacent to Sha Chau .

|